27.08.2020

Würziger mit Kapern

Gewürz, Heilmittel und Aphrodisiakum

Kapern? Die gehören doch zu Königsberger Klopsen. Aber sonst? Wir kennen zumeist die in Essig eingelegten Kapern in kleinen Gläschen im Supermarktregal. Im mediterranen Raum werden diese dagegen oft nur mit Salz konserviert. Doch was sind Kapern eigentlich? Gemüse, Samen oder Früchte? Weder noch, möchte man sagen. Genau genommen sind es die unreifen, geschlossenen und fermentierten Blütenknospen, die in unserer Küche Einzug gefunden haben.

Der Echte oder Dornige Kapernstrauch (Capparis spinosa) ist ein dorniger Halbstrauch. Er wird bis zu 1 Meter hoch und kann sich bis zu 3 Meter in der Fläche ausbreiten. Der Echte Kapernstrauch ist der bekannteste der rund zehn verschiedenen Kapernsträucher im Mittelmeerraum. Die wilden Kapernsträucher sind äußerst genügsam und wachsen sogar auf kargem, sonst unfruchtbarem Boden, Felsen und dem Gemäuer von alten Ruinen. Nicht umsonst sagen die Italiener, dass sich der Kapernstrauch „von Wind und Sonne ernährt“. Für unsere eingelegten Kapern werden aber zunehmend nicht mehr wilde Kapernsträucher beerntet, wie es zum Beispiel in Marokko heute noch üblich ist, sondern dornenlose Sträucher in Plantagen kultiviert. Südfrankreich und Süditalien zählen neben der Türkei, Griechenland und Spanien zu den Hauptanbauländern.

Mit dem Kohl verwandt

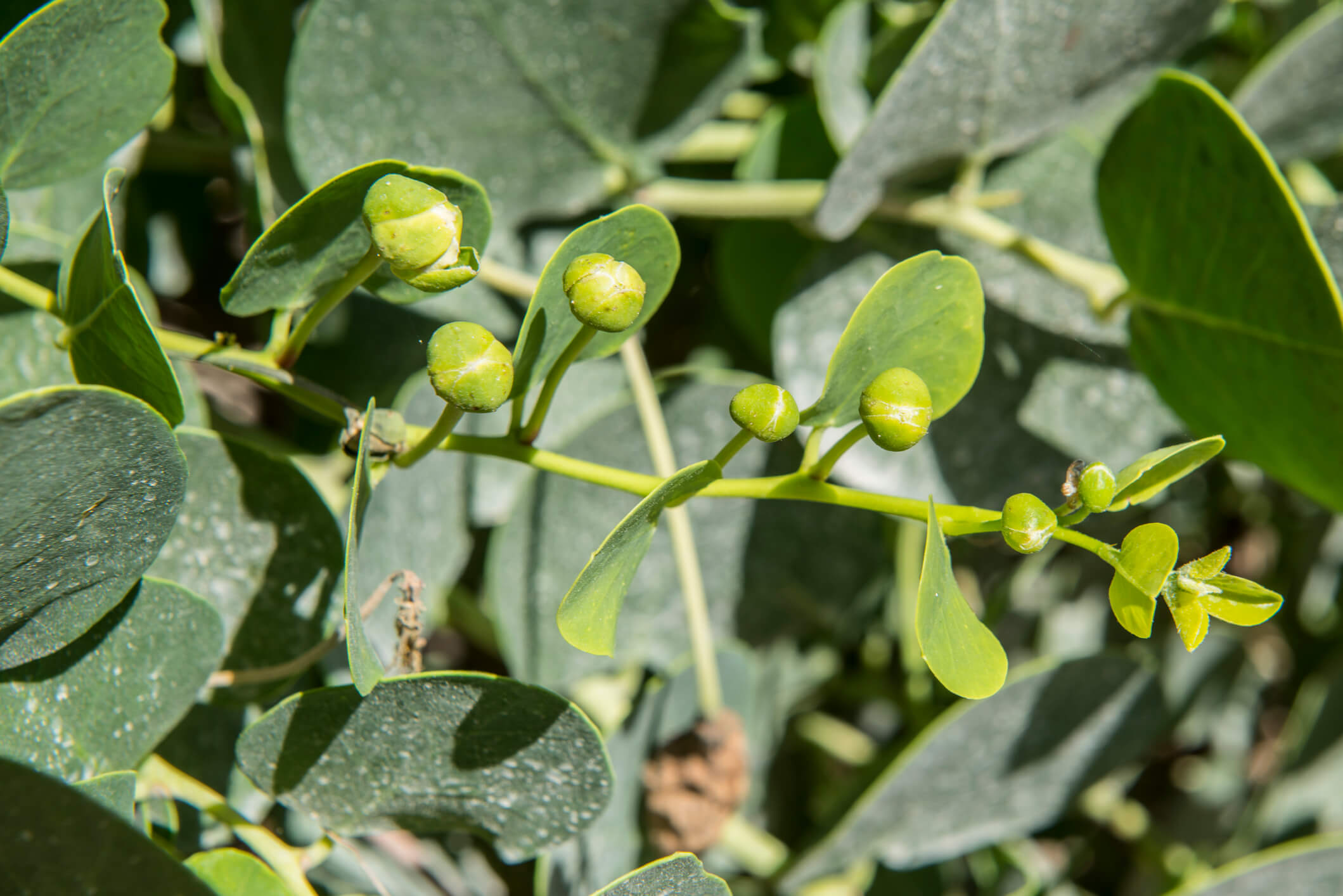
Kapernsträucher sind übrigens mit unseren Kohlarten eng verwandt. Ihren markant herben Geschmack verdanken die Kapern Senfölen und der ziegenbockartig riechenden Caprinsäure. Die Kapern sind nicht die Früchte des Kapernstrauchs, sondern die noch geschlossenen und konservierten Blütenknospen. Die Ernte ist auch heute noch Handarbeit: Sorgfältig werden die Knospen im Frühjahr an trockenen Tagen am besten morgens von Hand gepflückt. Sie sollten beim Pflücken noch fest und geschlossen sein. Erntereife Kapern sind oliv- bis bläulich-grün. Roh sind sie ungenießbar und ähnlich bitter wie frische Oliven. Daher werden sie gewaschen, angewelkt und danach in Salzlake, Essig oder Öl eingelegt. Durch das Konservieren werden die enthaltenen Bitterstoffe weitgehend entfernt.

Je kleiner die Kapern, umso hochpreisiger sind sie. Die Franzosen unterteilen die Kapern nach ihrer Größe von den „Nonpareilles“ mit 4 bis7 Millimeter über die Surfines und Capucines, Capotes, Fines, Mifines bis hin zu den „Hors Calibres“ oder Communes mit 13 bis15 Millimeter. Doch Vorsicht: Nicht alles, was aussieht wie Kapern, sind auch welche. So gibt es viele andere Pflanzenknospen, die als Kapernersatz verkauft werden, wie etwa die Knospen von Sumpfdotterblume, Löwenzahn, Gänseblümchen, Bärlauch, Scharbockskraut oder Kapuzinerkresse. Und was passiert eigentlich mit Kapernknospen, die nicht geerntet werden? Dann blüht der Kapernstrauch mit dekorativen Blüten. Später werden dann die „Kapernäpfel“ oder „Kapernbeeren“ daraus. Es sind die echten Früchte des Kapernstrauchs.

Vitello tonnato und Königsberger Klopse

In Italien kommen Kapern in die Spaghetti alla puttanesca und in das Kalbfleisch-Thunfischgericht Vitello tonnato. In Deutschland kennt man Kapern wohl am meisten zu Königsberger Klopsen. In Griechenland ist auch ein Salat aus den jungen Blättern des Kapernstrauchs bekannt. Die Früchte des Kapernstrauchs, die Kapernäpfel oder Kapernbeeren, werden beispielsweise in Spanien und im arabischen Sprachraum gegessen. Kapern werden meist fein gehackt ins Essen gegeben. Auf jeden Fall sollten sie erst zum Schluss an das heiße Gericht gegeben werden, da sich sonst einige Inhaltsstoffe schnell verflüchtigen. Beim Kauf sollten die Kapern vollständig geschlossen sein. Das geöffnete Glas sollte im Kühlschrank aufbewahrt werden.

Kapern sind vitamin- und mineralstoffreich

Kapern enthalten viel Vitamin B1, B2 und B3 sowie die Mineralstoffe Calcium, Kalium, Magnesium und Natrium sowie Kupfer. Interessant ist auch der Inhaltsstoff Quercetin. Das Flavonoid mit antioxidativer Wirkung gilt als Radikalfänger im Körper. Aus der Antike sind Kapern als Heilmittel und stimulierendes Aphrodisiakum bekannt. Schon die alten Ägypter, Römer, Griechen und Araber haben die komplette Kapernpflanze mit Wurzeln, Rinde, Blättern, Blüten und Früchten gegen Arthritis oder Leber- und Milzerkrankungen eingesetzt. Im Iran werden Kapern schon seit langem gegen hohen Blutzucker gegessen. In Italien gilt das Kauen der Rinde des Kapernstrauchs als gutes Mittel gegen Zahnschmerzen. Die nomadischen Berber in Nordafrika nutzten eine Paste aus Honig und Kapernpflanzen gegen faltige und trockene Haut Nicht alle Anwendungen können aus heutiger Sicht medizinisch belegt werden. Eine Wunderwaffe gegen Krebs und Herzinfarkt sind Kapern sicherlich nicht, gesund sind sie aber allemal.

Kapern aus dem eigenen Garten

Wer gerne Kapern isst, kann auch hier einen Kapernstrauch anpflanzen. An einem warmen, sonnigen und trockenen Platz im Wintergarten, auf dem Balkon oder der Terrasse lässt er sich auf jeden Fall kultivieren. Als mediterrane Pflanze verträgt der Kapernstrauch keinen langanhaltenden Frost, kann aber kurzzeitig bis zu minus 5 Grad Celsius vertragen. Optimal ist eine Überwinterung bei 8 Grad Celsius. In milden Regionen eignet er sich auch als Bodenbedecker oder zum Bepflanzen von sonnigen Trockenmauern. Dort macht er sich sehr dekorativ, denn ab etwa 20 Zentimeter Länge biegen sich die Äste nach unten. Die Blütenknospen wachsen an einem langen Stängel vom Ast heraus. Die auffallende Blüte hat große weiße Kronenblätter und lange violette Staubfäden. Doch diese Pracht währt nur kurz, denn die Blüte, die sich am Morgen öffnete, ist im Laufe des Tages schon wieder verblüht.

Weitere Beiträge