23.09.2021

Oliven: die gesunden Früchte des Olivenbaums

Aus der mediterranen Küche nicht wegzudenken

Wer kennt sie nicht, die sattgrünen oder pechschwarzen Oliven, die zu fast jedem mediterranen Gericht gereicht werden? Ob in Spanien, in Italien oder in Griechenland – Oliven gehören zu Tapas, Antipasti und griechischem Salat einfach dazu. Der Verzehr von eingemachten Oliven macht aber nur etwa 10 Prozent der Verwertung aus; 90 Prozent der Ernte werden zu Olivenöl gepresst. Bei diesem gibt es große Qualitätsunterschiede. Die Kultivierung von Olivenbäumen im Mittelmeerraum reicht 6000 Jahre zurück. Sorgen bereitet den Olivenbaum-Besitzern seit einigen Jahren ein Bakterium, das ganze Olivenhaine hinwegrafft. 

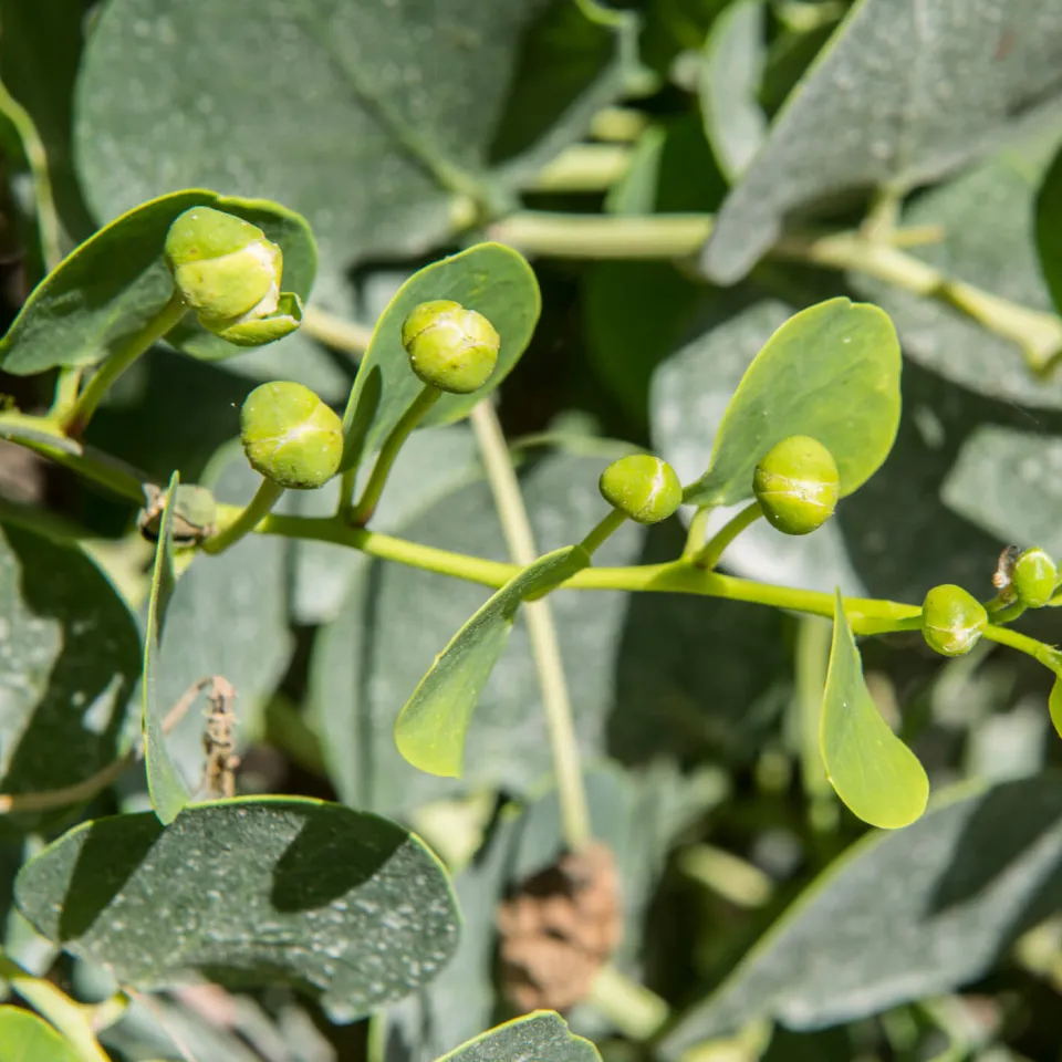
Mittelgroß und im Alter oft krumm und knorrig - die Rede ist nicht von einem älteren mürrischen Mann, sondern vom Olivenbaum, Olea europaea. Er wird auch Echter Ölbaum genannt, gehört er doch zur Gattung der Ölbäume (Olea). Er ist zunächst reich verzweigt und wächst als immergrüner Strauch oder bis zu 20 Meter großer Baum. Inzwischen werden Olivenbäume schon seit über 6000 Jahren kultiviert, doch schon aus archäologischen Funden von vor 9000 Jahren sind Olivenkerne bekannt. Der Ölbaum wird unter anderem auch in der Bibel und im Koran erwähnt. Ein Olivenzweig stand für Frieden und Segen. Die Züchtungen sind größer und mächtiger als die Wildform. Sie werden allerdings in den Kulturen, den Olivenhainen, zurückgeschnitten. So lassen sie sich besser abernten, denn der Rückschnitt hält die Bäume in einer guten Erntehöhe. Die Bäume tragen meist am zweijährigen Holz. Die graugrünen Blätter des Olivenbaums sind ledrig und lanzettförmig bis elliptisch. Die Blütezeit des Olivenbaums ist von April bis Juni, die Bestäubung findet durch Wind statt.

Feuerbakterium gefährdet Olivenanbau

Olivenbäume wachsen im gesamten Mittelmeerraum von Spanien, Frankreich über Italien, die Türkei bis ans Schwarze Meer. Ursprünglich stammen sie aus dem antiken Zweistromland in der fruchtbaren Region zwischen den Flüssen Euphrat und Tigris, das dem heutigen Gebiet zwischen der Südosttürkei, Nordostsyrien, dem Irak, Nordostkuwait und dem westlichen Teil des Irans entspricht. Der Baum verträgt zwar sommerliche Hitze, ist aber relativ frostempfindlich, weshalb starker Frost existenzbedrohend für Plantagen sein kann. In der Natur verbreiten sich Olivenbäume über Vögel, die Kerne der Oliven wieder ausscheiden. Plantagen werden dagegen meist mit Stecklingen angelegt. Das bedeutet, dass dann alle Bäume genetisch gleich sind. Olivenbäume können mehrere Jahrhunderte bis über tausend Jahre alt werden, doch derzeit macht ein das Bakterium Xylella fastidiosa, auf deutsch Feuerbakterium, von sich reden, indem es ganze Haine zerstört, sodass in manchen Gegenden die Zeit für Olivenbäume gezählt sein könnte. Daher forschen Wissenschaftler mit Hochdruck daran, resistente Sorten zu züchten

Ernte von Hand, mit Netzen oder vollautomatisch mit Maschinen

Die Ernte der elliptischen bis kugelförmigen Oliven findet über das Winterhalbjahr statt. Die Oliven werden dabei meist nicht mehr von Hand gepflückt, sondern entweder beim Herabfallen in Netzen aufgefangen oder gleich maschinell mit einer „Ernte-Schüttlermaschine“ geerntet, die die herunterfallenden Oliven mit einer Plane auffängt und sammelt. Es gibt auch die Methode, dass einzelne Äste herausgesägt werden, von denen dann die Oliven maschinell abgetrennt werden und das Holz zu Brennholz verarbeitet wird.

Olivenöl in verschiedenen Qualitäten

90 Prozent aller Oliven werden zu Olivenöl verarbeitet, nur 10 Prozent werden als Frucht gegessen. Olivenöl wird aus dem Fruchtfleisch und dem Kern der Oliven gewonnen. Olivenöl ist in Kategorien und Güteklassen eingeteilt. Eine EU-Verordnung unterscheidet acht Kategorien von „nativem Olivenöl Extra“, das direkt aus Oliven nur durch mechanische Verfahren ohne Wärmeeinwirkung (< 40 Grad Celsius) gewonnen wird, bis hin zu Oliventresteröl, das ein Verschnitt von raffiniertem Oliventresteröl und nativem Öl ist. Für Verbraucher sind außerdem die drei Güteklassen der EU-Olivenölverordnung wichtig:

  • natives Olivenöl Extra (Olio Extra Vergine di Oliva): naturbelassenes (natives) Olivenöl der „Extra"-Klasse.
  • natives Olivenöl (Olio Vergine di Oliva): ein naturbelassenes Öl, das jedoch in der Qualität leichte Fehler aufweist.
  • Olivenöl (Olio di Oliva): raffiniertes (thermisch und chemisch behandeltes) Olivenöl, das häufig in Großküchen eingesetzt wird.

Daneben beeinflussen auch die Olivensorte, der Reifegrad, der Anteil angefaulter oder schädlingsbefallener Früchte, die Reinheit, die Lagedauer, die Sauberkeit der Anlage oder der Kontakt mit Sauerstoff beim Pressen und während der weiteren Verarbeitung die Qualität von Olivenöl.

Oliven sind in der Mittelmeerküche unabdingbar

Die Olive ist eine Steinfrucht und roh nicht genießbar, da sie viele Bitterstoffe enthält. Deshalb wird sie in Wasser eingelegt, um die Bitterstoffe zu entfernen. Grüne Oliven sind noch nicht ausgereift. In der vollen Reife sind Oliven dunkeloliv bis schwarz. Nach dem Einlegen in Öl sind die Oliven etwa ein Jahr lang haltbar, wenn sie kühl und dunkel gelagert werden. Oliven werden in vielen Gerichten der Mittelmeerküche verwendet. Sie dienen zum Beispiel als Pizza-Belag, komplettieren zusammen mit Schafskäse einen griechischen Salat oder werden zu Olivenbrot verarbeitet. Oliven verfeinern auch Fischgerichte und geschmorte Fleischgerichte. Olivenöl wird zum Braten benutzt, kommt aber auch in Zaziki, Salatsaucen, Bruschetta, Suppen und Nudeln oder dient als einfacher Brotaufstrich für eine Scheibe Brot.

Feuerbakterium gefährdet Olivenanbau

Oliven werden von einigen Krankheiten und Schädlingen befallen. Allen voran ist das Feuerbakterium Xylella fastidiosa zu nennen. Es verstopft die Wasserleitungsbahnen der Olivenbäume und lässt sie austrocknen, sodass sie absterben. Übertragen wird das Bakterium über Zikaden. Seit 2013 breitet sich das Olivenbaumsterben im Mittelmeerraum aus; eine Bekämpfung bei befallenen Bäumen ist derzeit nicht möglich. Bei Befall muss der ganze Olivenhain gerodet, das Gras gemäht und am besten auch noch der Boden gepflügt werden. Weitere Olivenbaumschädlinge sind Blattläuse, die Olivenschildlaus und die Olivenfruchtfliege, die ihre Eier in die reifenden Oliven legt und sie damit für den menschlichen Genuss untauglich macht. Auch ein Pilz, der „Polsterförmige Feuerschwamm“ Fomitiporia punctata, schädigt den Olivenbaum durch die von ihm verursachte Stammfäule.

Weitere Beiträge